Land Promoters
Samy Nagar
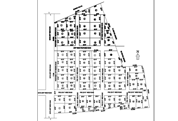
Survey No : 132/3, 132/4, 132/8 Patta No : 18 Kotthamangalam Village & Panchayat, Sankkottai Unon, Karaikudi Taluk, Sivagangai District.
For Booking Call : +91 9443119128 / 9487719128
Survey No : 132/3, 132/4, 132/8 Patta No : 18 Kotthamangalam Village & Panchayat, Sankkottai Unon, Karaikudi Taluk, Sivagangai District.
For Booking Call : +91 9443119128 / 9487719128
Copyright © 2016 Leela Lakshmi Builders . All rights reserved. Powered by Newmak Technology